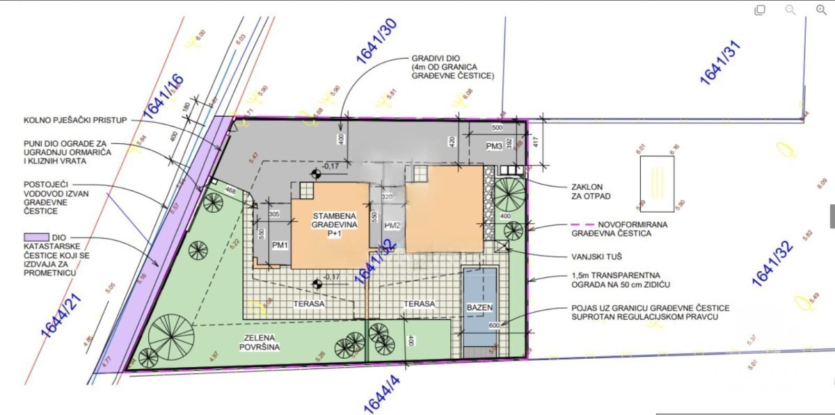
Tomt Umag

Tomtstorlek

705 m2

Umag, Lovrečica
650.000 €
922 €/m2
  • REI ID : 66823
  • Byråns interna ID : 1467
  • Publiceringsdatum : 18.09.2024.
  • Uppdatera datum : 16.09.2024.
  • Antal visningar : 1213
  • Anmäl en annons

All data och bilder på dessa webbplatser presenteras endast i informationssyfte, innan någon slutsats eller aktivitet baserad på data från dessa sidor bör all information kontrolleras med annonsören.

KONTAKTA EN AGENT